Shortlist 7 juli
Een korte selectie berichten en achtergronden uit de hele wereld. Met vandaag: de oudste erotische graffiti, verkiezingsuitslag Afghanistan, video ISIS-baas opgedoken, superorkaan op weg naar Japan, en ticketfraude bij de FIFA.
Ghani wint Afghaanse verkiezingen
De presidentsverkiezingen in Afghanistan zijn gewonnen door Ashraf Ghani. Volgens de voorlopige (!) uitslag heeft hij 56,4 procent van de stemmen gekregen. Zijn concurrent Abdullah Abdullah blijft steken op 43,6 procent. Na de eerste ronde was Abdullah nog winnaar. Tijdens de verkiezingen waren er diverse ongeregeldheden, zoals mensen bij wie de (blauwe) vingers werden afgesneden door de Talibaan, een aanslag op Abdullah en beschuldingen van fraude. Dat gezegd hebbende: er is een uitslag, nu afwachten wie er (niet) mee kan leven.
Klassieke erotische graffiti gevonden
Op de rotsen van het Griekse eilandje Astypalaia in de Egeïsche Zee zijn talloze uitgehouwen fallussen en pittige inscripties gevonden. De 'kruisverwijzingen' dateren uit de vijfde en zesde eeuw voor Christus en zijn zo duidelijk en veelvuldig aangebracht, dat er volgens de ontdekkers geen twijfel bestaat dat dit behoort tot de oudste erotische graffiti's ter wereld. De kunst beschrijft niet alleen het verlangen naar seks, maar ook de daad zelf, bijvoorbeeld met uitvoerige beschrijvingen van homoseks. En dát maakt de ontdekking zo bijzonder.
Bekijk: eerste filmbeelden baas van ISIS
Er zwierven al foto's en vooral veel mythes van hem rond: Abu Bakr al-Baghdadi, de vermeende leider van ISIS en inmiddels 'kalief Ibrahim'. Nu zijn er ook bewegende beelden opgedoken van de meest gezochte man van het Midden-Oosten. Een video waarin Al-Bahgdadi in de grootmoskee van Mosul predikt voor de volgelingen van zijn Islamitische staat. Hoewel het nog niet vaststaat dat het om een en dezelfde persoon gaat, kunnen we volgens The Guardian wel wat afleiden uit de beelden: Al-Baghdadi spreekt vooral vanuit de traditie van de eerste kaliefen, een uiterst gewelddadige periode, en lijkt hiernaar terug te willen. De video lijkt een roep om meer aanhang. 'Nep!' zegt de Iraakse regering over het materiaal.
Accepteer de 'social' cookies voor deze 'youtube'-embed.
Sorry, er ging iets mis.
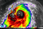
Superorkaan stevent af op Japan
Windsnelheden van 270 kilometer per uur, met uitschieters tot 325: bibberend wacht Japan op superstorm Neoguri, met categorie 5 de zwaarste in z'n soort. Het eiland Okinawa wordt naar verwachting komende woensdag of donderdag als eerste getroffen, daarna de eilanden Kyushi en Shikoku. Daar wordt het nog spannend, omdat er twee kerncentrales staan. Ze zijn alvast stilgelegd. Hou de laatste stand in de gaten via de feed hieronder.
FIFA betrokken bij grootschalige ticketfraude WK
Braziliaanse onderzoekers hebben immense fraude met WK-tickets ontdekt. Kaartjes, soms ook bedoeld voor de persoonlijke aanhang van spelers, werden illegaal herverkocht tegen woekerprijzen: 1500 dollar was op de zwarte markt heel normaal. Er zijn elf verdachten gearresteerd, die samen zo'n 90 miljoen dollar per toernooi verdienden. De zwendel heeft mogelijk al vier toernooien geduurd. Maar daar houdt het niet op: het onderzoek wijst naar een FIFA-official, die toegang heeft tot stadions en de administratieve afdelingen. Inmiddels is er een voornaam gefilterd uit de data. Hij is in ieder geval niet Braziliaans en verblijft alleen gedurende het WK in een luxe hotel in Rio de Janeiro. Bijna beet dus...
Shortlist 4 juli
Een korte selectie berichten en achtergronden uit de hele wereld. Met vandaag: net ontdekte Indianenstam alweer bedreigd, Saville en seksueel misbruik, waarom India feminisme nodig heeft, op de vuist in Engeland en Britse plannen voor Syrisch rebellenleger.